ZASADY RYSOWANIA KADŁUBA OKRĘTU
Kadłub okrętu przedstawiamy przy pomocy wielu przekrojów na trzech wzajemnie do siebie prostopadłych płaszczyznach.
Rys. 1. Podział kadłuba na płaszczyzny rzutujące
Rysunek przedstawiający kadłub okrętu, podobnie jak w rysunku maszynowym musi odzwierciedlać jego kształty i wielkość. Rysunek kształtu kadłuba statku przedstawiamy w postaci linii teoretycznych, muszą one jednak być rysowane dokładnie i z dużą starannością, gdyż służą one do obliczeń teoretycznych np. stateczności statku, jak i sporządzenia rysunków elementów kadłuba. Rysunki linii teoretycznych wykonuje się najczęściej w skali 1:100, 1:50, 1:20, 1:10. Na potrzeby modelarskie wykonuje się je też w innych skalach w zależności od potrzeb. Aby wykonać poprawnie rysunek linii teoretycznych a także go czytać musimy zapoznać się określeniami istotnymi dla podania wymiarów głównych kadłuba statku.
WYMIARY GŁÓWNE KADŁUBA
Poniżej podano zasady wymiarowania statku i określenia używane przy projektowaniu i czytaniu linii teoretycznych.
Określenia istotne do podania wymiarów głównych :
PD – pion dziobowy
PR– pion rufowy
WK – wodnica konstrukcyjna lub inna nazwa KLW – konstrukcyjna linia wodna
WK wodnicą konstrukcyjną nazywamy linię przecięcia kadłuba płaszczyzna
Poziomą zanurzenia konstrukcyjnego statku
- PO płaszczyzna owręża ,owręże , płaszczyzna pionowa przechodząca przez środek kadłuba w połowie długości między pionami
PS – płaszczyzna symetrii statku , płaszczyzna przechodząca wzdłuż statku przez połowę jego szerokości
PP – płaszczyzna podstawowa płaszczyzna przechodząca przez dolną krawędź wzdłużnika dennego w płaszczyźnie owręża PO
Rys. 2. Przekroje kadłuba w trzech podstawowych płaszczyznach
PD - Pion Dziobowy – jest to prosta prostopadła do wodnicy konstrukcyjnej i przechodząca przez styk tej wodnicy z dziobnicą Miejsce przejścia prostopadłej zależne jest od konstrukcji kadłuba.
W statkach z dziobnicą odlewaną lub spawaną pion dziobowy przechodzi przez wewnętrzne krawędzie styku blach poszycia , a dla statków z dziobnicą belkową przez punkt przecięcia tylnej krawędzi belki .
Rys. 3. Pion dziobowy na statkach stalowych, a – z dziobnicą spawaną, b – z dziobnicą belkową
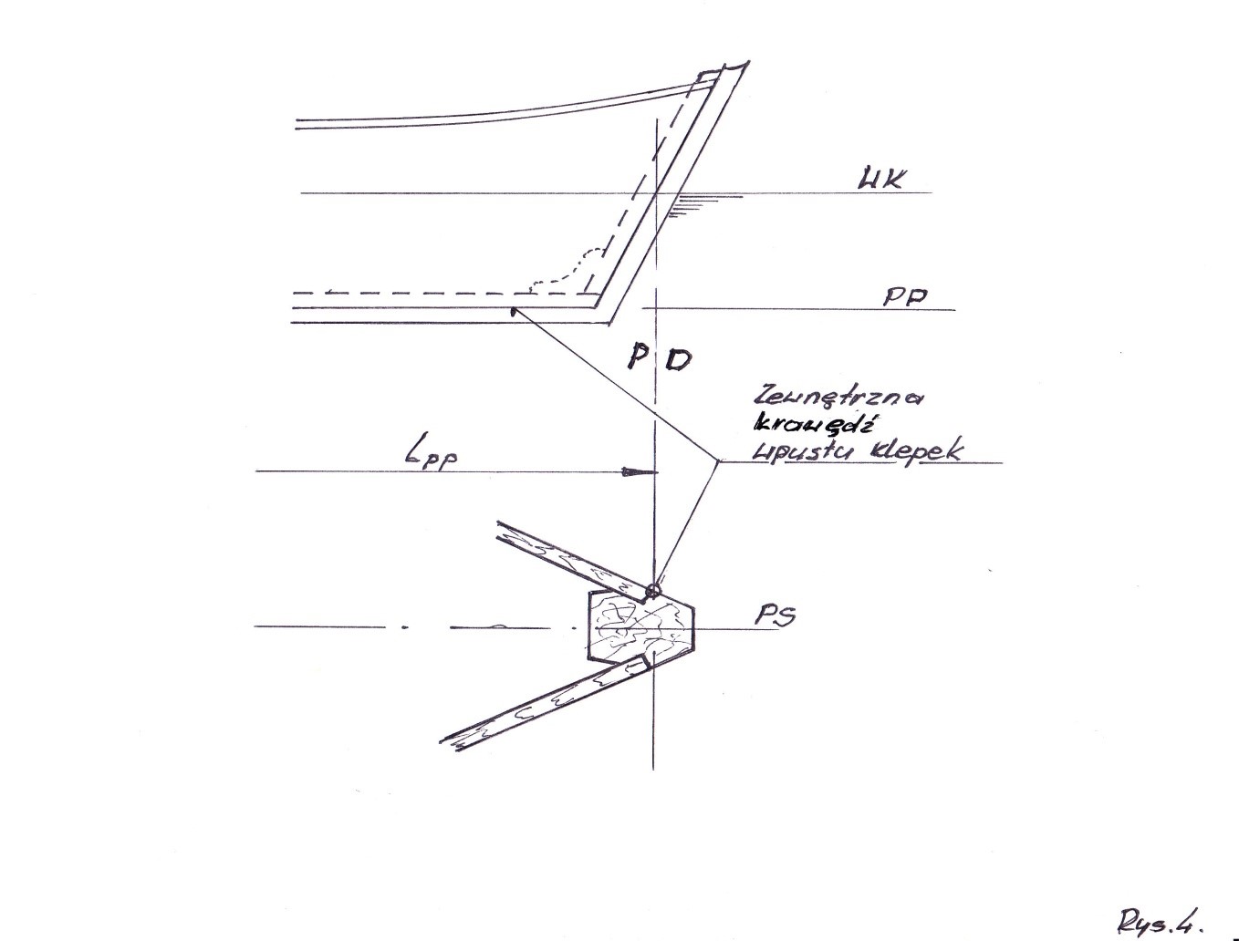
W statkach o konstrukcji drewnianej prostopadłą prowadzimy przez punkt przecięcia zewnętrznej krawędzi wpustu klepek ( wejście poszycia do dziobnicy) z wodnicą konstrukcyjną.
Rys. 4. Pion dziobowy na statku drewnianym
PR - Pion Rufowy – linia prostopadła do wodnicy konstrukcyjnej WK i w zależności od materiału konstrukcyjnego kadłuba i konstrukcji rufy, przechodząca przez :
- w statkach stalowych przez tylną krawędź ramienia sterowego (rys.5 a)
- w statkach stalowych i drewnianych bez ramienia sterowego przez oś steru (rys.5 b, c)
- w statkach drewnianych przez punkt przejścia zewnętrznej krawędzi klepek poszycia do tylnicy na wysokości wodnicy konstrukcyjnej WK ( rys.5 d)
- w statkach dużym nawisie rufowym pion rufowy prowadzimy przez rufowy punkt przebicia płaszczyzny symetrii PS wodnicą konstrukcyjną WK
Rys. 5. Pion Rufowy
ZASADY RYSOWANIA KADŁUBA OKRĘTU
- ryszardb
- Posty: 179
- Rejestracja: 12 lip 2011, 11:36
- Lokalizacja: {"name":"Polska Gda\u0144sk","desc":"","lat":"","lng":""}
- ryszardb
- Posty: 179
- Rejestracja: 12 lip 2011, 11:36
- Lokalizacja: {"name":"Polska Gda\u0144sk","desc":"","lat":"","lng":""}
Re: pytanie do adminów
SZEROKOŚĆ STATKU
BC - szerokość całkowita, odległość mierzona prostopadle do płaszczyzny symetrii kadłuba między skrajnymi stałymi punktami położonymi na przeciwległych burtach.
B - szerokość konstrukcyjna, największa szerokość kadłuba na owrężu, mierzona na wysokości wodnicy konstrukcyjnej, dla statków stalowych mierzona na zewnętrznych krawędziach wręg (bez poszycia), na statkach drewnianych, z tworzyw sztucznych i betonowych na zewnętrznej stronie poszycia
BP - szerokość pokładu, mierzona w najszerszym miejscu kadłuba na burtach zgodnie z zasadami pomiaru szerokości B.
Rys. 7. Szerokość statku
d – z poszyciem stalowym, e – z poszyciem drewnianym
ZANURZENIE STATKU
T – zanurzenie konstrukcyjne, mierzone jest w połowie długości statku między pionami LPP na owrężu dla statków stalowych od wewnętrznej strony poszycia stępki płaskiej do wodnicy konstrukcyjnej WK, dla statków ze stępką belkową – od górnej krawędzi stępki belkowej do WK, dla statków drewnianych od dolnej krawędzi wpustu klepek poszycia przy stępce do WK.
Rys.9
Tc – zanurzenie całkowite, największe zanurzenie kadłuba okrętu łącznie z jego częściami wystającymi ( stępka , kil, miecz, urządzenia pomiarowe itp.), bez części wystających ruchomych możliwych do zdemontowania np. ster.
Td - zanurzenie konstrukcyjne dziobowe, zanurzenie mierzone na pionie dziobowym PD od linii stępki do WK .
Tr - zanurzenie konstrukcyjne rufy, mierzone na pionie rufowym PR od linii stępki do WK.
Tśr - zanurzenie średnie, jest to średnia arytmetyczna zanurzeń dziobu i rufy.
Tśr = (Td+Tr )/2
Rys. 10. Zanurzenie
WYSOKOŚĆ BOCZNA, WOLNA BURTA
H - wysokość boczna, odległość mierzona na owrężu, przy burcie od płaszczyzny podstawowej PP do górnej krawędzi pokładnika na statkach stalowych ( bez poszycia pokładu), a na statkach drewnianych do linii górnej krawędzi poszycia pokładu.
WB - wolna burta jest to odległość mierzona na burcie w płaszczyźnie owręża ( w połowie długości statku) od wodnicy pływania do górnej krawędzi mocnicy pokładowej na statkach stalowych lub na statkach drewnianych do górnej krawędzi poszycia pokładu przy burcie.
Rys.11
Rys. 12
Rys. 12.
Sposób ustalania wolnej burty jest określony wymogami Międzynarodowej Konwencji o Liniach Ładunkowych. Minimalna wolna burta jest ustalana ze względu bezpieczeństwa statku i w głównej mierze zależna jest od długości i typu statku . Znak wolnej burty umieszcza się na owrężu po obu burtach statku.
BC - szerokość całkowita, odległość mierzona prostopadle do płaszczyzny symetrii kadłuba między skrajnymi stałymi punktami położonymi na przeciwległych burtach.
B - szerokość konstrukcyjna, największa szerokość kadłuba na owrężu, mierzona na wysokości wodnicy konstrukcyjnej, dla statków stalowych mierzona na zewnętrznych krawędziach wręg (bez poszycia), na statkach drewnianych, z tworzyw sztucznych i betonowych na zewnętrznej stronie poszycia
BP - szerokość pokładu, mierzona w najszerszym miejscu kadłuba na burtach zgodnie z zasadami pomiaru szerokości B.
Rys. 7. Szerokość statku
d – z poszyciem stalowym, e – z poszyciem drewnianym
ZANURZENIE STATKU
T – zanurzenie konstrukcyjne, mierzone jest w połowie długości statku między pionami LPP na owrężu dla statków stalowych od wewnętrznej strony poszycia stępki płaskiej do wodnicy konstrukcyjnej WK, dla statków ze stępką belkową – od górnej krawędzi stępki belkowej do WK, dla statków drewnianych od dolnej krawędzi wpustu klepek poszycia przy stępce do WK.
Rys.9
Tc – zanurzenie całkowite, największe zanurzenie kadłuba okrętu łącznie z jego częściami wystającymi ( stępka , kil, miecz, urządzenia pomiarowe itp.), bez części wystających ruchomych możliwych do zdemontowania np. ster.
Td - zanurzenie konstrukcyjne dziobowe, zanurzenie mierzone na pionie dziobowym PD od linii stępki do WK .
Tr - zanurzenie konstrukcyjne rufy, mierzone na pionie rufowym PR od linii stępki do WK.
Tśr - zanurzenie średnie, jest to średnia arytmetyczna zanurzeń dziobu i rufy.
Tśr = (Td+Tr )/2
Rys. 10. Zanurzenie
WYSOKOŚĆ BOCZNA, WOLNA BURTA
H - wysokość boczna, odległość mierzona na owrężu, przy burcie od płaszczyzny podstawowej PP do górnej krawędzi pokładnika na statkach stalowych ( bez poszycia pokładu), a na statkach drewnianych do linii górnej krawędzi poszycia pokładu.
WB - wolna burta jest to odległość mierzona na burcie w płaszczyźnie owręża ( w połowie długości statku) od wodnicy pływania do górnej krawędzi mocnicy pokładowej na statkach stalowych lub na statkach drewnianych do górnej krawędzi poszycia pokładu przy burcie.
Rys.11
Rys. 12
Rys. 12.
Sposób ustalania wolnej burty jest określony wymogami Międzynarodowej Konwencji o Liniach Ładunkowych. Minimalna wolna burta jest ustalana ze względu bezpieczeństwa statku i w głównej mierze zależna jest od długości i typu statku . Znak wolnej burty umieszcza się na owrężu po obu burtach statku.
- ryszardb
- Posty: 179
- Rejestracja: 12 lip 2011, 11:36
- Lokalizacja: {"name":"Polska Gda\u0144sk","desc":"","lat":"","lng":""}
Re: pytanie do adminów
LINIE TEORETYCZNE
Wiemy już jak należy określać wymiary główne statku teraz przystąpimy do rysowania kadłuba. Poznając krok po kroku sposób rysowania kadłuba statku nie będziemy mieli kłopotów z prawidłowym odczytaniem rysunku co dla mniej doświadczonych modelarzy okrętowych stanowi niemały problem.
Powierzchnia kadłuba jest powierzchnią skomplikowaną zmieniającą się w trzech kierunkach wzdłużnym, poprzecznym i pionowym. Rysunkiem czy też wykresem tych powierzchni odzwierciedlających w sposób przejrzysty i jednoznaczny jest rysunek linii teoretycznych.
Podstawą wykonania rysunku, podobnie jak w rysunku maszynowym, są wzajemnie prostopadłe do siebie wspomniane wcześniej płaszczyzny zasadnicze, a mianowicie :
a) PS płaszczyzna symetrii statku
b) PP płaszczyzna podstawowa
c) PO płaszczyzna owręża ( oznaczana - lub )
Rys. 1. Płaszczyzny rzutujące
Przecinając równolegle kadłub statku tymi płaszczyznami kadłub otrzymujemy kolejno linie teoretyczne :
a) w płaszczyźnie symetrii PS - wzdłużnice
b) w płaszczyźnie podstawowej PP - wodnice
c) w płaszczyźnie owręża PO - wręgi
Rys. 13 .Widok linii teoretycznych
Należy przy tym pamiętać, że dla celów teoretycznych a także i wykonawczych przy rysowaniu linii teoretycznych :
- dla kadłuba stalowego nie uwzględniamy poszycia i rysujemy tylko kształt zewnętrznych krawędzi wręgów budowlanych
- dla kadłuba drewnianego i z tworzyw sztucznych uwzględniamy poszycie i rozpatrywać będziemy zewnętrzną powierzchnię kadłuba, czyli linie teoretyczne przebiegają po zewnętrznej krawędzi poszycia.
Tak więc przy odwzorowaniu wręgów z linii teoretycznych do celów wykonawczych musimy uwzględnić powyższe założenia.
Przejdziemy teraz do mówienia poszczególnych linii teoretycznych.
1. WODNICE
Wodnice odzwierciedlają poszczególne linie zanurzenia kadłuba statku. Płaszczyzny wodnic są płaszczyznami równoległymi do płaszczyzny podstawowej, prostopadle zaś do płaszczyzny symetrii i do płaszczyzny owręża Linia zanurzenia jest linią ukazującą miejsce zetknięcia powierzchni kadłuba z powierzchnią wody.
Aby uzyskać rysunek wodnic, dzielimy zanurzenie statku T na 4, 6, 8 równych odcinków lub na odstępy metrowe, które łatwiej jest odmierzać na rysunku jak i potem trasując wielkości naturalne czy też w skali .
Do celów modelarskich tam gdzie kształty wodnic są proste mażemy wodnic dać mniej , natomiast w miejscach gdzie kształty są bardziej złożone , a zależy nam na dokładnym odwzorowaniu kształtu, rysujemy wodnice gęściej. W rysunku okrętowym często rysuje się tzw. wodnice połówkowe w części dennej kadłuba.
Wodnice oznaczamy kolejno od PP ( PP jest wodnicą zerową) W0, W1, W2 itd. . Wodnicę odpowiadającą zanurzeniu statku oznaczamy przez WK, lub KLW.
Rys. 14. Wodnice.
2. WRĘGI
Wręgi odzwierciedlają nam linie przecięcia powierzchni kadłuba płaszczyznami poprzecznymi prostopadłymi do płaszczyzny symetrii statku i do płaszczyzny podstawowej.
Podziału wręgowego dokonujemy dzieląc odległość między pionami (PR i PD) na 10 lub 20 części. Przekroje wręgowe , nazywane popularnie owrężeniem statku, numerujemy poczynając od pionu rufowego PR oznaczając go 0 i dalej 1, 2, 3, 4, 5, ... aż do pionu dziobowego, który jest 10 lub 20 wręgiem. W połowie długości między pionami LPP oznaczamy owrężenie czyli wręg 5 lub 10. Często też zagęszczamy wręgi w miejscach większych krzywizn czyli w rejonie rufy i dziobu dodając wręgi połówkowe 1⁄(2 ), 11⁄2 ....81⁄2, 91⁄2. Wręgi poza pionem rufowym aby rozrysować wręgi długiego nawisu rufowego numerujemy jako ujemne, czyli -1⁄2 , -1, -11⁄2 , -2 itd.
W celach modelarskich podobnie jak i wodnice podziału wręgowego możemy dokonać w taki sposób aby rozrysować tylko wręgi potrzebne nam do montażu kadłuba modelu.
Rys. 15. Wręgi.
4. WZDŁUŻNICE
Wzdłużnice są liniami przecięcia powierzchni kadłuba płaszczyznami równoległymi do płaszczyzny symetrii PS , prostopadłymi zaś do płaszczyzny podstawy i do p0łaszczyzny owrężenia. Liczbę wzdłużnic przyjmuje się od 2 do 5 po każdej stronie PS w zależności od szerokości okrętu i jego kształtów. Oznaczamy je literami rzymskimi począwszy od płaszczyzny symetrii PS która to oznaczone jest nr 0, a następnie I, II, III itd.
Dla celów modelarskich możemy również wzdłużnice wyznaczać w zależności od potrzeb.
Rys. 16. Wzdłużnice.
5. UKOŚNICE
Czasami dla sprawdzenia płynności kształtu szczególnie obła okrętu rysujemy także ukośnice. Ukośnice są to linie powstałe po przecięciu powierzchni kadłuba płaszczyznami nachylonymi do płaszczyzny symetrii a prostopadłymi do płaszczyzny owręża PO. Kąty nachylenia tych płaszczyzn dobieramy tak, aby w miarę możliwości przecinały rzut poprzeczny wręgów pod kątem jak najbardziej zbliżonym do kąta prostego. Tak więc przedstawiamy jakby rzuty kładów tych powierzchni na płaszczyźnie rysunku. Oznaczamy je małymi literami alfabetu a, b, c, itd.
Rys. 17. Ukośnice.
Wiemy już jak należy określać wymiary główne statku teraz przystąpimy do rysowania kadłuba. Poznając krok po kroku sposób rysowania kadłuba statku nie będziemy mieli kłopotów z prawidłowym odczytaniem rysunku co dla mniej doświadczonych modelarzy okrętowych stanowi niemały problem.
Powierzchnia kadłuba jest powierzchnią skomplikowaną zmieniającą się w trzech kierunkach wzdłużnym, poprzecznym i pionowym. Rysunkiem czy też wykresem tych powierzchni odzwierciedlających w sposób przejrzysty i jednoznaczny jest rysunek linii teoretycznych.
Podstawą wykonania rysunku, podobnie jak w rysunku maszynowym, są wzajemnie prostopadłe do siebie wspomniane wcześniej płaszczyzny zasadnicze, a mianowicie :
a) PS płaszczyzna symetrii statku
b) PP płaszczyzna podstawowa
c) PO płaszczyzna owręża ( oznaczana - lub )
Rys. 1. Płaszczyzny rzutujące
Przecinając równolegle kadłub statku tymi płaszczyznami kadłub otrzymujemy kolejno linie teoretyczne :
a) w płaszczyźnie symetrii PS - wzdłużnice
b) w płaszczyźnie podstawowej PP - wodnice
c) w płaszczyźnie owręża PO - wręgi
Rys. 13 .Widok linii teoretycznych
Należy przy tym pamiętać, że dla celów teoretycznych a także i wykonawczych przy rysowaniu linii teoretycznych :
- dla kadłuba stalowego nie uwzględniamy poszycia i rysujemy tylko kształt zewnętrznych krawędzi wręgów budowlanych
- dla kadłuba drewnianego i z tworzyw sztucznych uwzględniamy poszycie i rozpatrywać będziemy zewnętrzną powierzchnię kadłuba, czyli linie teoretyczne przebiegają po zewnętrznej krawędzi poszycia.
Tak więc przy odwzorowaniu wręgów z linii teoretycznych do celów wykonawczych musimy uwzględnić powyższe założenia.
Przejdziemy teraz do mówienia poszczególnych linii teoretycznych.
1. WODNICE
Wodnice odzwierciedlają poszczególne linie zanurzenia kadłuba statku. Płaszczyzny wodnic są płaszczyznami równoległymi do płaszczyzny podstawowej, prostopadle zaś do płaszczyzny symetrii i do płaszczyzny owręża Linia zanurzenia jest linią ukazującą miejsce zetknięcia powierzchni kadłuba z powierzchnią wody.
Aby uzyskać rysunek wodnic, dzielimy zanurzenie statku T na 4, 6, 8 równych odcinków lub na odstępy metrowe, które łatwiej jest odmierzać na rysunku jak i potem trasując wielkości naturalne czy też w skali .
Do celów modelarskich tam gdzie kształty wodnic są proste mażemy wodnic dać mniej , natomiast w miejscach gdzie kształty są bardziej złożone , a zależy nam na dokładnym odwzorowaniu kształtu, rysujemy wodnice gęściej. W rysunku okrętowym często rysuje się tzw. wodnice połówkowe w części dennej kadłuba.
Wodnice oznaczamy kolejno od PP ( PP jest wodnicą zerową) W0, W1, W2 itd. . Wodnicę odpowiadającą zanurzeniu statku oznaczamy przez WK, lub KLW.
Rys. 14. Wodnice.
2. WRĘGI
Wręgi odzwierciedlają nam linie przecięcia powierzchni kadłuba płaszczyznami poprzecznymi prostopadłymi do płaszczyzny symetrii statku i do płaszczyzny podstawowej.
Podziału wręgowego dokonujemy dzieląc odległość między pionami (PR i PD) na 10 lub 20 części. Przekroje wręgowe , nazywane popularnie owrężeniem statku, numerujemy poczynając od pionu rufowego PR oznaczając go 0 i dalej 1, 2, 3, 4, 5, ... aż do pionu dziobowego, który jest 10 lub 20 wręgiem. W połowie długości między pionami LPP oznaczamy owrężenie czyli wręg 5 lub 10. Często też zagęszczamy wręgi w miejscach większych krzywizn czyli w rejonie rufy i dziobu dodając wręgi połówkowe 1⁄(2 ), 11⁄2 ....81⁄2, 91⁄2. Wręgi poza pionem rufowym aby rozrysować wręgi długiego nawisu rufowego numerujemy jako ujemne, czyli -1⁄2 , -1, -11⁄2 , -2 itd.
W celach modelarskich podobnie jak i wodnice podziału wręgowego możemy dokonać w taki sposób aby rozrysować tylko wręgi potrzebne nam do montażu kadłuba modelu.
Rys. 15. Wręgi.
4. WZDŁUŻNICE
Wzdłużnice są liniami przecięcia powierzchni kadłuba płaszczyznami równoległymi do płaszczyzny symetrii PS , prostopadłymi zaś do płaszczyzny podstawy i do p0łaszczyzny owrężenia. Liczbę wzdłużnic przyjmuje się od 2 do 5 po każdej stronie PS w zależności od szerokości okrętu i jego kształtów. Oznaczamy je literami rzymskimi począwszy od płaszczyzny symetrii PS która to oznaczone jest nr 0, a następnie I, II, III itd.
Dla celów modelarskich możemy również wzdłużnice wyznaczać w zależności od potrzeb.
Rys. 16. Wzdłużnice.
5. UKOŚNICE
Czasami dla sprawdzenia płynności kształtu szczególnie obła okrętu rysujemy także ukośnice. Ukośnice są to linie powstałe po przecięciu powierzchni kadłuba płaszczyznami nachylonymi do płaszczyzny symetrii a prostopadłymi do płaszczyzny owręża PO. Kąty nachylenia tych płaszczyzn dobieramy tak, aby w miarę możliwości przecinały rzut poprzeczny wręgów pod kątem jak najbardziej zbliżonym do kąta prostego. Tak więc przedstawiamy jakby rzuty kładów tych powierzchni na płaszczyźnie rysunku. Oznaczamy je małymi literami alfabetu a, b, c, itd.
Rys. 17. Ukośnice.
Ostatnio zmieniony 14 paź 2018, 18:27 przez ryszardb, łącznie zmieniany 1 raz.
- ryszardb
- Posty: 179
- Rejestracja: 12 lip 2011, 11:36
- Lokalizacja: {"name":"Polska Gda\u0144sk","desc":"","lat":"","lng":""}
Re: pytanie do adminów
RYSUNEK LINII TEORETYCZNYCH
SIATKA LINII TEORETYCZNYCH
Zgodnie z tym co do tej pory poznaliśmy, kształt kadłuba okrętu przedstawimy zatem jako przekroje rzutowane na trzy płaszczyzny główne, czyli :
1. Rzut pionowy nazywany rzutem wzdłużnym, na którym wręgi i wodnice występują jako linie proste;
2. Rzut poziomy , rzut na płaszczyznę podstawową nazywany wodnicami , na którym wręgi i wzdłużnice występują jako linie proste;
3. Rzut boczny , rzut na płaszczyznę owręża, nazywany rysunkiem wręgów, często owrężeniem, na rzucie tym wodnice i wzdłużnice występują jako linie proste.
4. Kłady ukośnic na płaszczyznę rysunku czyli rzut na płaszczyznę ukośnic, nazywany rysunkiem ukośnic, na rysunku tym wręgi występują jako linie proste.
Powyższe linie które występują na rzutach jako linie proste tworzą tak zwaną siatkę konstrukcyjną (Rys.1).
Rys 1. Siatka linii teoretycznych kadłuba okrętowego
Dla statków, gdzie mamy długą wstawkę cylindryczną kadłuba (jednakowe przekroje wręgowe na dużej długości) rysunek wręgów rysuje się często w środku rzutu wzdłużnego. Wówczas jako wręg 5 rysujemy płaszczyznę symetrii PS rzutu wręgów (rys.2).
Dokładność wykonania linii teoretycznych kadłuba statku ściśle zależy od dokładności wykonania siatki. Dlatego po wykreśleniu siatki należy sprawdzić dokładność jej wykonania poprzez sprawdzenia kilku przekątnych siatki, na rys. 2. liniami czerwonymi zaznaczono przykładowe pomiary przekątnych.
Rys.2. Sprawdzanie siatki rzutów
Aby zapewnić jak największą dokładność wykreślanych linii oraz wyznaczania odległości punktów przecięcia poszczególnych linii prostych z krzywymi linie siatki musza być dokładnie równoległe i prostopadłe względem siebie. Do odmierzania poszczególnych długości najlepiej użyć cyrkla- kroczka z regulowaną rozwartością ramion lub jeszcze lepiej paska papieru (fot.1).
Pasek papieru jest najlepszym narzędziem do rysowania i upłynniania linii na rysunku , gdyż nie zostawia po sobie śladów przebicia rysunku a po opisaniu go może służyć do kilkukrotnego przenoszenia odległości bez jej zmian czego nie zapewnia nam kroczek gdyż łatwo możemy zmienić nastawy nawet przez położenia cyrkla. Paski papieru można odcinać z brzegów kartki , a najlepiej zaopatrzyć się w pasek do kas fiskalnych lub innych. Znaczniki najlepiej wykonać ołówkiem twardym 3H, 4H dobrze zaostrzonym co zapewni nam bardzo dużą dokładność.
RYSOWANIE LINII TEORETYCZNYCH
Mając wyrysowaną siatkę przystępujemy do rysowania na niej linii teoretycznych.
Wszystkie linie krzywe na rysunku teoretycznym ze względu na symetryczność kadłuba rysujemy dla połowy statku. Jedyny wyjątek stanowi wręg 5 ( przy podziale LPP na 10 wręgów teoretycznych ) lub 10 ( przy podziale LPP na 20 wręgów teoretycznych ) na rzucie poprzecznym, owrężenia który rysujemy w całości . Pozostałe wręgi rysujemy po połowie zachowując zasadę , że wręgi od strony rufy czyli od 0 do 5 lub 10 rysujemy po lewej stronie rzutu poprzecznego, natomiast wręgi od owrężenia do dziobu czyli od 5lub 10 do 10 lub 20 ( w zależności od przyjętego podziału) rysujemy po prawej stronie rzutu poprzecznego. Krzywe na poszczególnych rzutach opisujemy odpowiednimi dla nich oznaczeniami . Zasadę numerowania podałem we wcześniejszych rozdziałach. Krzywe muszą mieć przebieg płynny i muszą być wzajemnie uzgodnione. W tym celu sprawdzamy współrzędne punktów przecięcia się krzywych na poszczególnych rzutach rysunku teoretycznego linii kadłuba. Dokładność wykonania siatki i linii powinna sięgać 0,1 mm .
Rysowanie linii teoretycznych zaczynamy od narysowania obrysu kadłuba w rzucie wzdłużnym. Rysujemy wiec linię stępki, dziobnicy i tylnicy wraz z całą rufą ( nawisy rufowe, lustra itp. ). Następnie rysujemy linię pokładu. Musimy tu pamiętać, że najczęściej pokład górny i pokłady nieosłonięte posiadają wznios i wypukłość. Pokłady dolne są najczęściej płaskie bez wypukłości.
WYZNACZANIE WZNIOSU POKLADU
Podam teraz kilka sposobów wyznaczania wzniosu pokładów, a ponieważ metody współczesne nie bardzo się różnią od stosowanych przed wiekami (silna tradycja w budownictwie okrętowym) możemy tych metod używać przy rysowaniu dawnych żaglowców mimo, że niektóre z metod podanych poniżej są z lat trzydziestych i sześćdziesiątych dwudziestego wieku.
Jednym ze sposobów wyznaczania wzniosu pokładu jest następujący :
1. Wyznaczamy najniższy punkt wzniosu w połowie długości statku między pionami PD i PR czyli w odległości L/2
2. Wysokość wzniosu na pionie dziobowym określamy wg wzoru
WD = L/60 + 0,508
3. Wysokość wzniosu na pionie rufowym
WR = WD/2
4. Punkty pośrednie wykonujemy wg poniższego schematu : dzielimy połowę długości L oraz WD i WR na jednakową ilość odcinków. Punkt 0 ( w połowie L) łączymy z punktami podziału WD i WR. Z punktów na odcinku L/2 wystawiamy prostopadłe. Przecięcia tych dwóch linii wyznaczają nam punktu krzywej wzniosu – rys.3.
Rys. 3.Wznios pokładu
Innym sposobem jest wykorzystanie równań paraboli drugiego stopnia i pośrednie punkty otrzymujemy przez obliczanie wg poniższych wzorów :
WiD = WD (L_i/(L/2) )2
WiR = WR ( L_i/(L/2) )2
Zarys pokładu wykonujemy jak na rys.4
Rys.4.Schemat do obliczania położenia punktów wzniosu
Wg przepisów Międzynarodowej Konwencji o liniach ładunkowych z 1966 r. wielkość wzniosu ustala się wg wzoru
C = (L[m])/3 + 10 [mm]
L – długość statku między pionami [m]
Wynik otrzymujemy w mm . Dalej postępujemy zgodnie z rysunkiem nr.5 .
Rys. 5. Wznios pokładu wg Konwencji o liniach ładunkowych z 1966 r.
Linię pokładu w rzucie wzdłużnym wg przepisów Międzynarodowej Konwencji w sprawie wyznaczania wolnej burty z 1930 r. przyjmuje się jako wartości obliczane zgodnie z podanymi wzorami :
Wznios pokładu na PD WD = 16,66 L + 508
w L/6 od PD W L/6 = 7,4 L + 226
w L/3 od PD W L/3 = 1,83 L + 56,5
Rzędne dla części rufowej wzniosu ustala się jako połowę wartości dziobowych. Schemat postępowania wyjaśnia rys. 6.
Rys. 6. Rysunek wzniosu wg Konwencji z 1930 r.
Bardzo prostym i wygodnym sposobem wykreślania linii wzniosu pokładu jest metoda graficzna. Przyjmujemy w niej wartości wzniosu
WD = 0,04 L
WR = 0,02 L
Na pionie dziobowym rysujemy ćwiartkę łuku koła o promieniu r = WD. Okrąg dzielimy na 4, 5,6, równych części ( w zależności od tego jaka dokładność krzywej chcemy uzyskać). Na tyle samo odcinków dzielimy L/2 długości między pionami . Przenosimy punkty podziału koła na jego średnicę . Przez górny punkt wzniosu dziobowego i wzniosu rufowego prowadzimy prostą aż do przecięcia z linią podstawy. Otrzymamy punkt przecięcia O . Teraz łączymy punkty podziały okręgu z punktem O. W punktach przecięcia prostopadłych poprowadzonych punktów podziału podstawy otrzymujemy punkty przebiegu krzywej wzniosu pokładu. Dalej postępujemy zgodnie z rys. 7 .
Jedną z zalet tej metody prócz łatwości wykonania jest możliwość przesunięcia punktu zerowego krzywej w kierunku rufy o wielkość „a” w kierunku rufy. Wówczas odcinki między pionami a najniższym punktem 0 krzywej dzielimy na równe odległości i wyznaczamy nowe punkty krzywej – linie czerwone na rys. 7.
Rys. 7. Wznios pokładu wyznaczany metodą graficzną
WYPUKŁOŚĆ POKŁADU
Przystępujemy do wyznaczenia wypukłości pokładu. Przekroje poprzeczne powierzchni pokładu przedstawiane są rzadko na rysunku linii teoretycznych. Jednak do obliczeń hydrostatycznych, czy wykreślania pokładów przy trasowaniu wielkości rzeczywistych, jak i w modelarstwie do wykreślania wręgów jest to nam niezbędne. Wypukłości pokładu mają zwykle pokład górny i pokłady nadbudówek, pokłady wewnętrzne ( osłonięte ) najczęściej stosuje się bez zaoblenia jako płaskie.
Krzywe wypukłości pokładu wykreślamy dla potrzebnego wręgu. Strzałka wygięcia zależy od szerokości pokładu w danym przekroju wręgowym. Poznamy teraz kilka metod rysowania wypukłości pokładu.
Sposób 1 pokazuje rysunek 8. Wysokość wypukłości w płaszczyźnie symetrii PS przyjmujemy jako b = B/50 , tym promieniem zataczamy okrąg. Podstawę ćwierć okręgu i jego obwód dzielimy na równą ilość części np. 4 ( jak na rysunku) czy 5 w zależności jaką chcemy uzyskać dokładność w rysowaniu krzywej. Punkty okręgu podstawy łączymy ze sobą (linie czerwone) .Połowę szerokości pokładu B/2 dzielimy na taką samą ilość części co okrąg i rysujemy z punktów podziału prostopadłe do podstawy o długościach odpowiadająch odcinkom okręgu kolejno b1 , b2 , b3 ,b4 . Teraz łączymy wierzchołki prostych bn i otrzymujemy w ten sposób krzywą wypukłości pokładu
Rys. 8. Wykres wypukłości pokładu – sposób 1
Sposób 2 ukazuje rysunek 9. W tej metodzie rysujemy całą szerokość statku . Wypukłość b = B/50 dzielimy jak poprzednio na równe części i tak samo połowę szerokości statku B/2 dzieli na taką samą ilość części.
Rys. 9. Wykres wypukłości pokładu – sposób 2
Z punktu M w odległości B/2 od PS prowadzimy poprzez punkty podziału w PS proste do przecięcia z pionowymi podziału B/2 i przez tak otrzymane punkty prowadzimy krzywą wypukłości.
Sposób 3 pokazuje rysunek 10. Metoda ta polega na przedstawieniu linii wypukłości pokładu jako paraboli. Rysujemy odcinek równy szerokości statku B. W PS rysujemy pionowo dwa odcinki równe B/50. Z wierzchołka P prowadzimy proste łączące burty , do punktów M i N. Boki PM i PN tak powstałego trójkąta dzielimy na równe odcinki i punkty oznaczamy na przemian jak na rysunku 10.
Rys. 10. Wykres wypukłości pokładu – sposób 3
Łączymy odpowiednio punkty 1-1, 2-2, 3-3 itd. Linia styczna do powstałych promieni będzie przedstawiała nam wypukłość pokładu.
Sposób 4 przedstawiony jest na rysunku 11. Wykreślamy linię pokładu o szerokości statku B . Punkty M i N znaczą nam burty statku. W połowie długości w płaszczyźnie symetrii PS wystawiamy prostopadłą do podstawy o wysokości zaoblenia b = OP = B/50. Z punktów M i N zataczamy łuki „c” i „d” o promieniu równym szerokości pokładu B.
Rys. 11.Wykres wypukłości pokładu – sposób 4
Z punktów M i N rysujemy proste przechodzące przez punkt P . Proste te przetną nam promienie odpowiednio w punktach G i K. Łuk MG dzielimy na dowolną ilość równych odcinków. Końce podziału łuku 1,2,3,4… łączymy z punktem N. Na łuku „c” począwszy od punktu K odmierzamy w górę tej samej wielkości odcinki co na HG ( „d” ) i punkty podziału łączymy z punktem M. Łączymy punkty przecięcia prostych o tych samych numerach. Otrzymana krzywa będzie linią wypukłości pokładu.
Najczęściej stosowaną metodą uzyskania krzywej wypukłości pokładu jest sposób najprostszy czyli Sposób 1 . Upraszczając rysowanie wypukłości pokładu dla poszczególnych wręgów możemy wykonać krzywą wyoblenia tylko dla owrężenia czyli dla wręgu 5-go , następnie wycinamy z brystolu szablon koniecznie rysując oś szablonu PS i przenosimy zaoblenie na poszczególne wręgi uważając , żeby oś szablonu pokrywała się z płaszczyzną symetrii PS kadłuba na danym wręgu, a boki profilu muszą się pokrywać z przecięciem burty z pokładem.
SIATKA LINII TEORETYCZNYCH
Zgodnie z tym co do tej pory poznaliśmy, kształt kadłuba okrętu przedstawimy zatem jako przekroje rzutowane na trzy płaszczyzny główne, czyli :
1. Rzut pionowy nazywany rzutem wzdłużnym, na którym wręgi i wodnice występują jako linie proste;
2. Rzut poziomy , rzut na płaszczyznę podstawową nazywany wodnicami , na którym wręgi i wzdłużnice występują jako linie proste;
3. Rzut boczny , rzut na płaszczyznę owręża, nazywany rysunkiem wręgów, często owrężeniem, na rzucie tym wodnice i wzdłużnice występują jako linie proste.
4. Kłady ukośnic na płaszczyznę rysunku czyli rzut na płaszczyznę ukośnic, nazywany rysunkiem ukośnic, na rysunku tym wręgi występują jako linie proste.
Powyższe linie które występują na rzutach jako linie proste tworzą tak zwaną siatkę konstrukcyjną (Rys.1).
Rys 1. Siatka linii teoretycznych kadłuba okrętowego
Dla statków, gdzie mamy długą wstawkę cylindryczną kadłuba (jednakowe przekroje wręgowe na dużej długości) rysunek wręgów rysuje się często w środku rzutu wzdłużnego. Wówczas jako wręg 5 rysujemy płaszczyznę symetrii PS rzutu wręgów (rys.2).
Dokładność wykonania linii teoretycznych kadłuba statku ściśle zależy od dokładności wykonania siatki. Dlatego po wykreśleniu siatki należy sprawdzić dokładność jej wykonania poprzez sprawdzenia kilku przekątnych siatki, na rys. 2. liniami czerwonymi zaznaczono przykładowe pomiary przekątnych.
Rys.2. Sprawdzanie siatki rzutów
Aby zapewnić jak największą dokładność wykreślanych linii oraz wyznaczania odległości punktów przecięcia poszczególnych linii prostych z krzywymi linie siatki musza być dokładnie równoległe i prostopadłe względem siebie. Do odmierzania poszczególnych długości najlepiej użyć cyrkla- kroczka z regulowaną rozwartością ramion lub jeszcze lepiej paska papieru (fot.1).
Pasek papieru jest najlepszym narzędziem do rysowania i upłynniania linii na rysunku , gdyż nie zostawia po sobie śladów przebicia rysunku a po opisaniu go może służyć do kilkukrotnego przenoszenia odległości bez jej zmian czego nie zapewnia nam kroczek gdyż łatwo możemy zmienić nastawy nawet przez położenia cyrkla. Paski papieru można odcinać z brzegów kartki , a najlepiej zaopatrzyć się w pasek do kas fiskalnych lub innych. Znaczniki najlepiej wykonać ołówkiem twardym 3H, 4H dobrze zaostrzonym co zapewni nam bardzo dużą dokładność.
RYSOWANIE LINII TEORETYCZNYCH
Mając wyrysowaną siatkę przystępujemy do rysowania na niej linii teoretycznych.
Wszystkie linie krzywe na rysunku teoretycznym ze względu na symetryczność kadłuba rysujemy dla połowy statku. Jedyny wyjątek stanowi wręg 5 ( przy podziale LPP na 10 wręgów teoretycznych ) lub 10 ( przy podziale LPP na 20 wręgów teoretycznych ) na rzucie poprzecznym, owrężenia który rysujemy w całości . Pozostałe wręgi rysujemy po połowie zachowując zasadę , że wręgi od strony rufy czyli od 0 do 5 lub 10 rysujemy po lewej stronie rzutu poprzecznego, natomiast wręgi od owrężenia do dziobu czyli od 5lub 10 do 10 lub 20 ( w zależności od przyjętego podziału) rysujemy po prawej stronie rzutu poprzecznego. Krzywe na poszczególnych rzutach opisujemy odpowiednimi dla nich oznaczeniami . Zasadę numerowania podałem we wcześniejszych rozdziałach. Krzywe muszą mieć przebieg płynny i muszą być wzajemnie uzgodnione. W tym celu sprawdzamy współrzędne punktów przecięcia się krzywych na poszczególnych rzutach rysunku teoretycznego linii kadłuba. Dokładność wykonania siatki i linii powinna sięgać 0,1 mm .
Rysowanie linii teoretycznych zaczynamy od narysowania obrysu kadłuba w rzucie wzdłużnym. Rysujemy wiec linię stępki, dziobnicy i tylnicy wraz z całą rufą ( nawisy rufowe, lustra itp. ). Następnie rysujemy linię pokładu. Musimy tu pamiętać, że najczęściej pokład górny i pokłady nieosłonięte posiadają wznios i wypukłość. Pokłady dolne są najczęściej płaskie bez wypukłości.
WYZNACZANIE WZNIOSU POKLADU
Podam teraz kilka sposobów wyznaczania wzniosu pokładów, a ponieważ metody współczesne nie bardzo się różnią od stosowanych przed wiekami (silna tradycja w budownictwie okrętowym) możemy tych metod używać przy rysowaniu dawnych żaglowców mimo, że niektóre z metod podanych poniżej są z lat trzydziestych i sześćdziesiątych dwudziestego wieku.
Jednym ze sposobów wyznaczania wzniosu pokładu jest następujący :
1. Wyznaczamy najniższy punkt wzniosu w połowie długości statku między pionami PD i PR czyli w odległości L/2
2. Wysokość wzniosu na pionie dziobowym określamy wg wzoru
WD = L/60 + 0,508
3. Wysokość wzniosu na pionie rufowym
WR = WD/2
4. Punkty pośrednie wykonujemy wg poniższego schematu : dzielimy połowę długości L oraz WD i WR na jednakową ilość odcinków. Punkt 0 ( w połowie L) łączymy z punktami podziału WD i WR. Z punktów na odcinku L/2 wystawiamy prostopadłe. Przecięcia tych dwóch linii wyznaczają nam punktu krzywej wzniosu – rys.3.
Rys. 3.Wznios pokładu
Innym sposobem jest wykorzystanie równań paraboli drugiego stopnia i pośrednie punkty otrzymujemy przez obliczanie wg poniższych wzorów :
WiD = WD (L_i/(L/2) )2
WiR = WR ( L_i/(L/2) )2
Zarys pokładu wykonujemy jak na rys.4
Rys.4.Schemat do obliczania położenia punktów wzniosu
Wg przepisów Międzynarodowej Konwencji o liniach ładunkowych z 1966 r. wielkość wzniosu ustala się wg wzoru
C = (L[m])/3 + 10 [mm]
L – długość statku między pionami [m]
Wynik otrzymujemy w mm . Dalej postępujemy zgodnie z rysunkiem nr.5 .
Rys. 5. Wznios pokładu wg Konwencji o liniach ładunkowych z 1966 r.
Linię pokładu w rzucie wzdłużnym wg przepisów Międzynarodowej Konwencji w sprawie wyznaczania wolnej burty z 1930 r. przyjmuje się jako wartości obliczane zgodnie z podanymi wzorami :
Wznios pokładu na PD WD = 16,66 L + 508
w L/6 od PD W L/6 = 7,4 L + 226
w L/3 od PD W L/3 = 1,83 L + 56,5
Rzędne dla części rufowej wzniosu ustala się jako połowę wartości dziobowych. Schemat postępowania wyjaśnia rys. 6.
Rys. 6. Rysunek wzniosu wg Konwencji z 1930 r.
Bardzo prostym i wygodnym sposobem wykreślania linii wzniosu pokładu jest metoda graficzna. Przyjmujemy w niej wartości wzniosu
WD = 0,04 L
WR = 0,02 L
Na pionie dziobowym rysujemy ćwiartkę łuku koła o promieniu r = WD. Okrąg dzielimy na 4, 5,6, równych części ( w zależności od tego jaka dokładność krzywej chcemy uzyskać). Na tyle samo odcinków dzielimy L/2 długości między pionami . Przenosimy punkty podziału koła na jego średnicę . Przez górny punkt wzniosu dziobowego i wzniosu rufowego prowadzimy prostą aż do przecięcia z linią podstawy. Otrzymamy punkt przecięcia O . Teraz łączymy punkty podziały okręgu z punktem O. W punktach przecięcia prostopadłych poprowadzonych punktów podziału podstawy otrzymujemy punkty przebiegu krzywej wzniosu pokładu. Dalej postępujemy zgodnie z rys. 7 .
Jedną z zalet tej metody prócz łatwości wykonania jest możliwość przesunięcia punktu zerowego krzywej w kierunku rufy o wielkość „a” w kierunku rufy. Wówczas odcinki między pionami a najniższym punktem 0 krzywej dzielimy na równe odległości i wyznaczamy nowe punkty krzywej – linie czerwone na rys. 7.
Rys. 7. Wznios pokładu wyznaczany metodą graficzną
WYPUKŁOŚĆ POKŁADU
Przystępujemy do wyznaczenia wypukłości pokładu. Przekroje poprzeczne powierzchni pokładu przedstawiane są rzadko na rysunku linii teoretycznych. Jednak do obliczeń hydrostatycznych, czy wykreślania pokładów przy trasowaniu wielkości rzeczywistych, jak i w modelarstwie do wykreślania wręgów jest to nam niezbędne. Wypukłości pokładu mają zwykle pokład górny i pokłady nadbudówek, pokłady wewnętrzne ( osłonięte ) najczęściej stosuje się bez zaoblenia jako płaskie.
Krzywe wypukłości pokładu wykreślamy dla potrzebnego wręgu. Strzałka wygięcia zależy od szerokości pokładu w danym przekroju wręgowym. Poznamy teraz kilka metod rysowania wypukłości pokładu.
Sposób 1 pokazuje rysunek 8. Wysokość wypukłości w płaszczyźnie symetrii PS przyjmujemy jako b = B/50 , tym promieniem zataczamy okrąg. Podstawę ćwierć okręgu i jego obwód dzielimy na równą ilość części np. 4 ( jak na rysunku) czy 5 w zależności jaką chcemy uzyskać dokładność w rysowaniu krzywej. Punkty okręgu podstawy łączymy ze sobą (linie czerwone) .Połowę szerokości pokładu B/2 dzielimy na taką samą ilość części co okrąg i rysujemy z punktów podziału prostopadłe do podstawy o długościach odpowiadająch odcinkom okręgu kolejno b1 , b2 , b3 ,b4 . Teraz łączymy wierzchołki prostych bn i otrzymujemy w ten sposób krzywą wypukłości pokładu
Rys. 8. Wykres wypukłości pokładu – sposób 1
Sposób 2 ukazuje rysunek 9. W tej metodzie rysujemy całą szerokość statku . Wypukłość b = B/50 dzielimy jak poprzednio na równe części i tak samo połowę szerokości statku B/2 dzieli na taką samą ilość części.
Rys. 9. Wykres wypukłości pokładu – sposób 2
Z punktu M w odległości B/2 od PS prowadzimy poprzez punkty podziału w PS proste do przecięcia z pionowymi podziału B/2 i przez tak otrzymane punkty prowadzimy krzywą wypukłości.
Sposób 3 pokazuje rysunek 10. Metoda ta polega na przedstawieniu linii wypukłości pokładu jako paraboli. Rysujemy odcinek równy szerokości statku B. W PS rysujemy pionowo dwa odcinki równe B/50. Z wierzchołka P prowadzimy proste łączące burty , do punktów M i N. Boki PM i PN tak powstałego trójkąta dzielimy na równe odcinki i punkty oznaczamy na przemian jak na rysunku 10.
Rys. 10. Wykres wypukłości pokładu – sposób 3
Łączymy odpowiednio punkty 1-1, 2-2, 3-3 itd. Linia styczna do powstałych promieni będzie przedstawiała nam wypukłość pokładu.
Sposób 4 przedstawiony jest na rysunku 11. Wykreślamy linię pokładu o szerokości statku B . Punkty M i N znaczą nam burty statku. W połowie długości w płaszczyźnie symetrii PS wystawiamy prostopadłą do podstawy o wysokości zaoblenia b = OP = B/50. Z punktów M i N zataczamy łuki „c” i „d” o promieniu równym szerokości pokładu B.
Rys. 11.Wykres wypukłości pokładu – sposób 4
Z punktów M i N rysujemy proste przechodzące przez punkt P . Proste te przetną nam promienie odpowiednio w punktach G i K. Łuk MG dzielimy na dowolną ilość równych odcinków. Końce podziału łuku 1,2,3,4… łączymy z punktem N. Na łuku „c” począwszy od punktu K odmierzamy w górę tej samej wielkości odcinki co na HG ( „d” ) i punkty podziału łączymy z punktem M. Łączymy punkty przecięcia prostych o tych samych numerach. Otrzymana krzywa będzie linią wypukłości pokładu.
Najczęściej stosowaną metodą uzyskania krzywej wypukłości pokładu jest sposób najprostszy czyli Sposób 1 . Upraszczając rysowanie wypukłości pokładu dla poszczególnych wręgów możemy wykonać krzywą wyoblenia tylko dla owrężenia czyli dla wręgu 5-go , następnie wycinamy z brystolu szablon koniecznie rysując oś szablonu PS i przenosimy zaoblenie na poszczególne wręgi uważając , żeby oś szablonu pokrywała się z płaszczyzną symetrii PS kadłuba na danym wręgu, a boki profilu muszą się pokrywać z przecięciem burty z pokładem.
- ryszardb
- Posty: 179
- Rejestracja: 12 lip 2011, 11:36
- Lokalizacja: {"name":"Polska Gda\u0144sk","desc":"","lat":"","lng":""}
Re: pytanie do adminów
KREŚLENIE LINII
Mając wykreśloną sylwetkę statku i zarys pokładu na rzucie wzdłużnym, rysujemy owrężenie na rzucie poprzecznym, ale bez wypukłości pokładu. Aby nie zaciemniać rysunku, wypukłość pokładu dorysujemy na końcu o ile okaże się nam potrzebny.
W pierwszej kolejności wykonujemy rysunek wręgów (rys.12) wzorując się na przekrojach statku podobnego lub według własnej koncepcji. W dalszej części przyjmę, że rysowanie linii będzie oparte na prawidłowo narysowanym rysunku wręgów choć nasze rysowanie linii równie dobrze możemy zacząć od rysowania wodnic , czy też wzdłużnic.
Rys. 12. Rysunek wręgów ( owrężenia )
Zaczynamy więc od przenoszenia szerokości poszczególnych wodnic.Za pomocą paska papieru dla każdej wodnicy oddzielnie przenosić punkty przecięcia wodnic z poszczególnymi wręgami jak ilustruje rys.13.
Rys. 13. Rysowanie wodnic –wykonanie paska
Następnie przenosimy tak zaznaczone punkty przecięć na rzut poziomy siatki w sposób pokazany na rysunku 14 i 15 dla części dziobowej i na rys.16 dla części rufowej. Otrzymamy w ten sposób zarys wodnicy i teraz za pomocą giętki wykreślamy daną wodnicę.
Rys. 14 .Rysowanie wodnic – przenoszenie punktów przecięcia wodnic z wręgami (wręg 6)
Rys. 15. Rysowanie wodnic – przenoszenie punktów przecięcia wodnic z wręgami (wręg 8)
Rys. 16. Rysowanie wodnic – przenoszenie punktów przecięcia z wręgami w części rufowej (wręg 3)
Punkty końcowe wodnicy wykreślamy przenosząc punkty przecięcia zarysu kadłuba z daną wodnicą ( na rys. 14, 15, 16 – zaznaczono te punkty linią kreskowaną czerwoną). Po przeniesieniu w ten sam sposób wszystkich wodnic oraz zarysu pokładu otrzymamy rysunek rzutu wodnic. Linie poszczególnych wodnic powinny być płynne bez wygięć czy wklęśnięć . Jeżeli takie by wystąpiły należy linię poprawić a powstałe nowe punkty przecięć przenieść z powrotem na rysunek wręgów i poprawić przebieg linii poszczególnych wręgów. Tak wykreślonych krzywych nie traktujemy jeszcze jako finalne, gdyż mogą one ulec częściowym zmianom po uzgodnieniu z resztą rzutów.
Po wykreśleniu wodnic przystępujemy teraz do wykonania wzdłużnic w rzucie wzdłużnym. Zaczynamy od wzdłużnicy I najbliższej płaszczyzny symetrii PS. Postępujemy podobnie jak przy przenoszeniu punktów przecięcia wręgów z wodnicami. Na rzucie wręgów przykładamy pionowo pasek na żądanej wzdłużnicy , jak na rysunku 17.
Rys. 17. Rysowanie wzdłużnic - wykonanie paska
Przenosimy na pasek papieru punkty przecięcia wzdłużnicy z wręgami i następnie przenosimy te punkty odpowiednio dla każdego wręgu na rzut wzdłużny, rys.18
Mając wykreśloną sylwetkę statku i zarys pokładu na rzucie wzdłużnym, rysujemy owrężenie na rzucie poprzecznym, ale bez wypukłości pokładu. Aby nie zaciemniać rysunku, wypukłość pokładu dorysujemy na końcu o ile okaże się nam potrzebny.
W pierwszej kolejności wykonujemy rysunek wręgów (rys.12) wzorując się na przekrojach statku podobnego lub według własnej koncepcji. W dalszej części przyjmę, że rysowanie linii będzie oparte na prawidłowo narysowanym rysunku wręgów choć nasze rysowanie linii równie dobrze możemy zacząć od rysowania wodnic , czy też wzdłużnic.
Rys. 12. Rysunek wręgów ( owrężenia )
Zaczynamy więc od przenoszenia szerokości poszczególnych wodnic.Za pomocą paska papieru dla każdej wodnicy oddzielnie przenosić punkty przecięcia wodnic z poszczególnymi wręgami jak ilustruje rys.13.
Rys. 13. Rysowanie wodnic –wykonanie paska
Następnie przenosimy tak zaznaczone punkty przecięć na rzut poziomy siatki w sposób pokazany na rysunku 14 i 15 dla części dziobowej i na rys.16 dla części rufowej. Otrzymamy w ten sposób zarys wodnicy i teraz za pomocą giętki wykreślamy daną wodnicę.
Rys. 14 .Rysowanie wodnic – przenoszenie punktów przecięcia wodnic z wręgami (wręg 6)
Rys. 15. Rysowanie wodnic – przenoszenie punktów przecięcia wodnic z wręgami (wręg 8)
Rys. 16. Rysowanie wodnic – przenoszenie punktów przecięcia z wręgami w części rufowej (wręg 3)
Punkty końcowe wodnicy wykreślamy przenosząc punkty przecięcia zarysu kadłuba z daną wodnicą ( na rys. 14, 15, 16 – zaznaczono te punkty linią kreskowaną czerwoną). Po przeniesieniu w ten sam sposób wszystkich wodnic oraz zarysu pokładu otrzymamy rysunek rzutu wodnic. Linie poszczególnych wodnic powinny być płynne bez wygięć czy wklęśnięć . Jeżeli takie by wystąpiły należy linię poprawić a powstałe nowe punkty przecięć przenieść z powrotem na rysunek wręgów i poprawić przebieg linii poszczególnych wręgów. Tak wykreślonych krzywych nie traktujemy jeszcze jako finalne, gdyż mogą one ulec częściowym zmianom po uzgodnieniu z resztą rzutów.
Po wykreśleniu wodnic przystępujemy teraz do wykonania wzdłużnic w rzucie wzdłużnym. Zaczynamy od wzdłużnicy I najbliższej płaszczyzny symetrii PS. Postępujemy podobnie jak przy przenoszeniu punktów przecięcia wręgów z wodnicami. Na rzucie wręgów przykładamy pionowo pasek na żądanej wzdłużnicy , jak na rysunku 17.
Rys. 17. Rysowanie wzdłużnic - wykonanie paska
Przenosimy na pasek papieru punkty przecięcia wzdłużnicy z wręgami i następnie przenosimy te punkty odpowiednio dla każdego wręgu na rzut wzdłużny, rys.18
- ryszardb
- Posty: 179
- Rejestracja: 12 lip 2011, 11:36
- Lokalizacja: {"name":"Polska Gda\u0144sk","desc":"","lat":"","lng":""}
Re: pytanie do adminów
Przenosimy na pasek papieru punkty przecięcia wzdłużnicy z wręgami i następnie przenosimy te punkty odpowiednio dla każdego wręgu na rzut wzdłużny, rys.18
Rys. 18. Rysowanie wzdłużnic- przenoszenie punktów przecięcia wzdłużnic z wręgami
Teraz z rzutu wodnic przenosimy punkty przecięcia wodnic z wzdłużnicami, rys 19. Odległości punktów przecięć odmierzamy od jednego z pionów lub od któregoś z wręgów , patrz rys. 19 i 20.
Rys. 19. Rysowanie wzdłużnic – przenoszenie punktów przecięcia wzdłużnic z wodnicami
Rys. 20. Rysowanie wzdłużnic - Przenoszenie punktów przecięcia wzdłużnic z wodnicami.
Tak otrzymane punkty przecięć wzdłużnicy z wręgami i wodnicami , na rysunku 21 zaznaczone czerwonymi punktami, łączymy ze sobą otrzymując krzywe wzdłużnic na rzucie wzdłużnym.
Rys. 21. Rysowanie wzdłużnic
Jeżeli po wykreśleniu wzdłużnic okaże się , że niektóre punkty pozostają poza wykreśloną linią wówczas należy przenieść nowe punkty na rzut wzdłużny oraz rzut poprzeczny i dokonać odpowiednich korekt punktów przecięć na tych rzutach. W ten sposób następuje uzgodnienie wzajemne krzywych na wszystkich trzech płaszczyznach przekrojów kadłuba statku.
Rys. 22. Uzgadnianie przebiegu krzywych.
Na rysunku 22 pokazany został sposób przenoszenia punktów przecięcia krzywych omówionych wcześniej. Wymiary dla większej przejrzystości zaznaczono różnymi kolorami i różnymi grubościami linii.
Po wzajemnym uzgodnieniu trzech zasadniczych rzutów dla ostatecznego sprawdzenia płynności krzywych wykreślamy ukośnice. O ile linie zostały wykonane prawidłowo ukośnice powinny być płynne o łagodnej krzywiźnie.
Przyjemnego projektowania i miłej zabawy
Ryszard Bielak
Rys. 18. Rysowanie wzdłużnic- przenoszenie punktów przecięcia wzdłużnic z wręgami
Teraz z rzutu wodnic przenosimy punkty przecięcia wodnic z wzdłużnicami, rys 19. Odległości punktów przecięć odmierzamy od jednego z pionów lub od któregoś z wręgów , patrz rys. 19 i 20.
Rys. 19. Rysowanie wzdłużnic – przenoszenie punktów przecięcia wzdłużnic z wodnicami
Rys. 20. Rysowanie wzdłużnic - Przenoszenie punktów przecięcia wzdłużnic z wodnicami.
Tak otrzymane punkty przecięć wzdłużnicy z wręgami i wodnicami , na rysunku 21 zaznaczone czerwonymi punktami, łączymy ze sobą otrzymując krzywe wzdłużnic na rzucie wzdłużnym.
Rys. 21. Rysowanie wzdłużnic
Jeżeli po wykreśleniu wzdłużnic okaże się , że niektóre punkty pozostają poza wykreśloną linią wówczas należy przenieść nowe punkty na rzut wzdłużny oraz rzut poprzeczny i dokonać odpowiednich korekt punktów przecięć na tych rzutach. W ten sposób następuje uzgodnienie wzajemne krzywych na wszystkich trzech płaszczyznach przekrojów kadłuba statku.
Rys. 22. Uzgadnianie przebiegu krzywych.
Na rysunku 22 pokazany został sposób przenoszenia punktów przecięcia krzywych omówionych wcześniej. Wymiary dla większej przejrzystości zaznaczono różnymi kolorami i różnymi grubościami linii.
Po wzajemnym uzgodnieniu trzech zasadniczych rzutów dla ostatecznego sprawdzenia płynności krzywych wykreślamy ukośnice. O ile linie zostały wykonane prawidłowo ukośnice powinny być płynne o łagodnej krzywiźnie.
Przyjemnego projektowania i miłej zabawy
Ryszard Bielak